역대 최대 사이클론, 섬나라 피지 강타…국가비상사태 선포

  • 동아일보
  • 입력 2016년 2월 21일 17시 39분


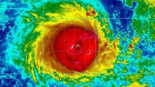
최대 풍속이 시속 325km에 이르는 역대 최악의 사이클론이 남태평양의 섬나라 피지를 강타해 30일간의 국가비상사태가 선포됐다.

20일 오후 7시(현지시간) 피지의 가장 큰 섬 비티 레부 북쪽에 상륙한 사이클론 ‘윈스턴’은 평균 시속 230㎞, 최대 시속 325㎞에 엄청난 폭우와 12m 높이의 파도를 동반해 지금까지 지구 남반부를 덮친 가장 강력한 폭풍우로 기록되게 됐다고 CNN이 유엔(UN) 관계자 발언을 인용해 보도했다. 윈스턴은 남태평양 일대에 발생하는 폭풍우 사이클론 중 최대인 카테코리 5단계 중에서도 2002년 발생한 ‘조’와 2006년 발생한 ‘모니카’의 최대 풍속 250㎞를 훌쩍 뛰어넘는 위력을 보였다.

다행히 피지의 수도가 있는 수바와 유명 관광지는 비껴갔지만 가옥 수백 채를 파괴하고 대규모 홍수와 산사태가 발생해 전체 인구 90만 명 중의 90%에 대한 전기공급이 끊겼다고 BBC가 보도했다. 또 전국적으로 750개 대피소에 수만 명이 피난한 것으로 전해졌다. 사상자 숫자는 21일 오전 현재 사망자 1명만 집계됐지만 마을 하나를 통째로 날려 보내고 대규모 산사태가 발생해 사상자 숫자는 더 늘어날 것으로 보인다. 유엔개발계획(UNDP)의 한 직원은 “일부 마을에선 모든 집이 파괴됐다는 보도가 나왔고 코로 섬의 나바가 마을에선 집 50채가 파괴됐다고 한다”는 트위터 메시지를 올렸다. 정확한 피해상황은 통신두절 상황이 해소돼야 파악될 것으로 보인다.

프랭크 바이니마라마 피지 총리는 이 엄청난 자연재해에 대비하기 위해 국가비상사태를 선포했으며 이는 향후 30일간 지속될 것이라고 피지 타임스는 보도했다. 피지 에어웨이, 버진 오스트레일리아, 제트스타 등 피지를 오가는 항공사들은 모든 항공편을 취소했다. 영토크기가 한국의 경상북도 정도 되는 피지에 카테고리 5 수준의 사이클론이 덮친 것은 이번이 처음이다.

권재현 기자 confetti@donga.com
#사이클론#윈스턴#피지
  • 좋아요
    0
  • 슬퍼요
    0
  • 화나요
    0

댓글 0

지금 뜨는 뉴스


다음
이전