
LG ‘트랜스포머’ 스마트폰 ‘G5’공개 “기대감 크다”
LG전자가 부진했던 스마트폰 사업을 일으킬 신규 프리미엄 제품인 ‘G5’를 공개했다. LG전자는 ‘모바일월드콩그레스(MWC) 2016’ 개막을 하루 앞둔 21일(현지 시간) 스페인 바르셀로나 ‘산 호르디 클럽’에서 ‘LG G5 데이’를 열고 전 세계 미디어·모바일 업계 관계자 앞…
- 2016-02-21
- 좋아요 개
- 코멘트 개

LG전자가 부진했던 스마트폰 사업을 일으킬 신규 프리미엄 제품인 ‘G5’를 공개했다. LG전자는 ‘모바일월드콩그레스(MWC) 2016’ 개막을 하루 앞둔 21일(현지 시간) 스페인 바르셀로나 ‘산 호르디 클럽’에서 ‘LG G5 데이’를 열고 전 세계 미디어·모바일 업계 관계자 앞…
중국 증시폭락에 대한 책임을 지고 증권감독 당국의 최고 책임자가 전격 경질됐다. 중국 정부는 20일 샤오강(肖鋼·58) 증권감독관리위원회(증감회) 주석을 해임하고 류스위(劉士余·55) 농업은행 이사장을 새로 임명했다고 밝혔다. 샤오 전 주석은 지난해 6, 7월 증시 급락으로 5조…
“장애물을 하나씩 넘어서면 꼭 칭찬하고 도와주는 손길이 있었어요. 학생들에게 그런 얘길 꼭 해주고 싶어요.” 예비교사 신분으로 29일 이화여대 영어교육과를 졸업하는 김태연 씨(43)는 1급 시각장애인이다. 피아노 치는 걸 좋아하던 평범한 삶은 5살 때 금이 갔다. 시각세포가 집중…
경북 칠곡경찰서는 어린 자녀를 상습적으로 폭행하고 식사도 제대로 주지 않은 혐의(아동복지법 위반)로 이모 씨(22) 부부를 구속했다고 21일 밝혔다. 경찰에 따르면 동갑인 남편 이 씨와 아내 박 씨는 지난해 7월부터 지난달 1월 중순까지 딸 3명과 아들 1명을 말을 듣지 않는다는…
부산 중구의 16층짜리 한 아파트 주민들은 지난해 12월부터 불안에 떨어야 했다. 최근까지 9차례에 걸쳐 ‘소주병 투척사건’이 일어났기 때문이다. 다행히 다친 사람은 없었지만 차량 4대가 파손됐다. 경찰이 수사에 나섰지만 대부분 어둠이 내린 오후 늦게 일어난 데다 지문 등 결정적인 증…
보건당국은 독감 유행세가 이번 주 최고점을 찍을 것으로 보고 있다. 하지만 올해 독감은 신학기가 시작된 뒤인 3, 4월까지 이어질 것으로 전망되고 있어 우려가 커지고 있다. ● 학령기 환자 2배, 신종플루도 급증 독감의 기세가 2월 말 날씨가 풀리면서 한풀 꺾였다가 3월경부터…
20일 갑자기 열이 오르고 온몸이 쑤셔 정신이 아득해진 윤모 씨(55)는 가족들의 부축을 받아 경기 이천시의 한 의료원에 들어섰다가 깜짝 놀랐다. 응급실엔 독감(인플루엔자) 환자 수십 명이 몰려 빈 침대가 없었고 사방에서 기침 소리가 끊이지 않았다. 4시간 넘게 기다려 진료를 받은 윤…
이명수 전 북한 인민보안부장(경찰청장)이 최근 처형된 이영길 전 총참모장(61·대장) 후임으로 북한군 서열 3위 총참모장에 임명된 사실이 확인됐다. 총참모장은 한국군의 합참의장에 해당하는 자리다. 21일 일본 NHK방송에 따르면 조선노동당 기관지 노동신문은 이날 김정은 노동당 제1비서…
중국 지린(吉林)성 창춘(長春)시와 연변조선족자치주 훈춘(琿春)시를 잇는 ‘창훈(長琿)고속철도’의 중간 지점인 둔화(敦化)역에서 백두산 관광의 베이스 캠프인 안투(安圖)현 얼다오바이허(二道白河)진 창바이산(長白山·백두산의 중국 명칭)역에 이르는 새로운 고속철도가 하반기 착공된다. 관광…
영국이 유럽연합(EU)에 잔류하느냐 탈퇴하느냐를 묻는 국민투표가 6월23일 하는 것으로 확정됐다. ‘브렉시트(영국의 EU 탈퇴)’를 놓고 영국 사회는 치열한 찬반 논쟁과 캠페인에 돌입했다. 데이비드 캐머런 영국 총리는 20일 내각회의를 열고 전날 EU 정상회의에서 타결된 EU …

공무원 근무혁신 지침, 유연근무제 확대…‘공무원 주 3.5일 근무도 가능’ 정부가 공직사회의 정시퇴근 문화 정착을 위해 2018년까지 공무원 근로시간을 현재 연간 2200시간 이상에서 1900시간대로 줄이는 방안을 추진한다. 특히 ‘유연근무제’ 확대를 적극 활용하면 주 3.5일 근무…
“강원도 평창과 서울을 잇는 셔틀버스가 있나요?” “벚꽃·단풍철에 한국 지방 투어상품을 만들고 싶습니다.” 17일 ‘한일 트래블 마트’가 열린 일본 도쿄 롯폰기 그랜드 하얏트 호텔. 일본 관광업계 종사자들은 한국 여행에 대한 궁금증을 쏟아냈다. 한국관광공사가 일본인 관광객 230…
몰도바, 우크라이나 등 옛 소련 출신 국가들이 부패로 몸살을 앓고 있다. 소련의 붕괴로 자본주의 체제로 전환됐지만 사회는 여전히 불투명하며 부패가 만연해 정권의 존립마저 위협하고 있다. 미국 외교전문지 포린폴리시(FP)는 최신호에서 ‘서방세계가 몰도바를 잃으려고 한다’는 제목으로…
1945년 출범한 국제통화기금(IMF)의 첫 여성 총재인 크리스틴 라가르드(60)의 연임이 확정했다. IMF는 19일(현지 시간) 미국 워싱턴 본부에서 집행이사회를 연 뒤 이같이 발표했다. 라가르드 총재는 성명을 통해 “앞으로 5년 더 IMF를 이끌 수 있는 기회를 얻어 매우 기쁘다”…
“어떤 이들은 나의 승리를 의심했지만, 우리는 서로 의심하지 않았다.” 20일 민주당 네바다 코커스(당원대회)에서 승리한 힐러리 클린턴 전 국무장관(69)이 라스베이거스 연설에서 던진 첫 마디는 안도의 한숨이었다. 그동안 위기감이 컸다는 의미다. 그는 “미국인들은 화낼 권리…

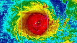
최대 풍속이 시속 325km에 이르는 역대 최악의 사이클론이 남태평양의 섬나라 피지를 강타해 30일간의 국가비상사태가 선포됐다. 20일 오후 7시(현지시간) 피지의 가장 큰 섬 비티 레부 북쪽에 상륙한 사이클론 ‘윈스턴’은 평균 시속 230㎞, 최대 시속 325㎞에 엄청난 폭우와…

배우 이상희 씨 아들의 ‘LA사망 미스터리’ 사건을 다룬 ‘그것이 알고싶다’ 시청률이 대폭 상승했다. 21일 시청률조사회사 닐슨코리아에 따르면, 20일 방송된 SBS 시사교양프로그램 ‘그것이 알고싶다’의 ‘배우 이상희 아들 LA사망 미스터리’ 편은 시청률 10.8%를 기록했다. …

정동영, ‘김종인 영입’ 문재인에 직격탄 “더민주가 적통? 부끄러운 줄 알라” 국민의당에 입당한 정동영 전 의원은 21일 자신의 국민의당 합류를 비판한 더불어민주당 문재인 전 대표를 향해 “부끄러운 줄 알라”며 직격탄을 날렸다. 문재인 전 대표가 19일 트위터에 올린 글에서 정동영…
이기는 팀은 감독과 선수가 서로를 생각한다. 프로배구 남자부 현대캐피탈 최태웅 감독은 “문성민이 시원하게 공을 때리고 싶을 텐데 내가 연타를 주문하니 답답해 죽으려고 할 것”이라며 미안해했다. 이에 대해 문성민은 “전혀 답답하지 않다. 팀에 도움이 되기 때문에 그게 맞는 방향”…
2015~2016 KCC 프로농구 6강 플레이오프는 25일 시작된다. 정규리그 3위 오리온은 6위 동부와, 4위 KGC는 5위 삼성과 각각 맞붙는다. 올 시즌 오리온에 2승4패로 뒤진 동부는 오리온 전에서 장점인 높이를 살리지 못했다. 오리온 선수들에게 공격 리바운드를 많이 허…